Disaster Preparedness news and trends

Hurricane Florence’s Retail Punch

September 14, 2018
Interviews & Exclusives
Hurricane Florence’s Retail Punch

September 14, 2018
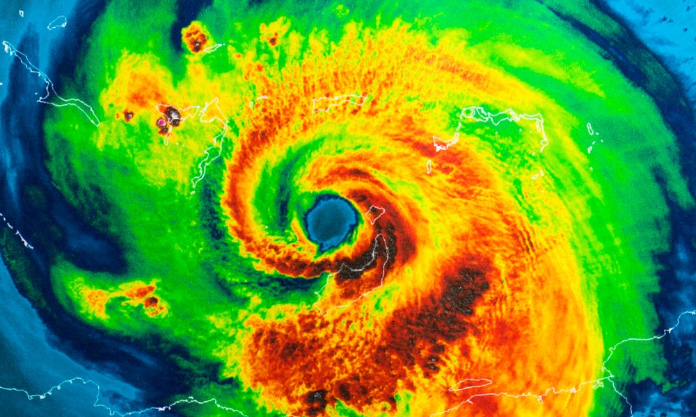
Henry Wadsworth Longfellow once wrote, “into every life, a little rain must fall,” a piece of poetry that will become a reality this weekend in the American southeast. Except, of course, it won’t be a little rain — it will be a lot of rain for the North Carolina coastline as Hurricane Florence roars in […]